La Comuna
Vecinos debatieron el diseño del Playón Ferroviario de Villa Urquiza
El encuentro se desarrolló este martes por la tarde en la Sede Comunal 12.
El Gobierno porteño y la Comuna 12 convocaron este martes por la tarde a los vecinos a debatir en la Sede Comunal de Holmberg y Monroe sobre la creación del futuro Playón Ferroviario de Villa Urquiza, un parque público en los terrenos de Triunvirato, Roosevelt, Bucarelli y las vías del tren Mitre, como había adelantado Saavedra Online. Esperan beneficiar a unos 50.000 vecinos y pasajeros.
Como se informó, el proyecto de Ley de Presupuesto 2026 que el Poder Ejecutivo de la Ciudad de Buenos Aires envió a la Legislatura porteña incluye fondos para la construcción del “Playón Ferroviario Urquiza”. En el plan plurianual de inversiones públicas 2026-2028 figura la construcción del pulmón verde con un presupuesto de $1.455.337.119 para 2026. Los otros años no tienen fondos asignados, así que se puede inferir que la propuesta oficial es tenerlo inaugurado en 2027.
En el encuentro los representantes del Gobierno porteño evitaron dar precisiones sobre si se rematará algún sector del predio, tal como establecen Leyes porteñas vigentes. Los vecinos habían pedido precisiones.
La dinámica del encuentro de este martes consistió en ubicar a los vecinos en cinco mesas para que cada una elabore un diagnóstico del lugar (iluminación, seguridad, accesibilidad) y proponga cómo debe ser el diseño del futuro pulmón verde, reclamado hace años por ciudadanos y entidades barriales como Urquiza Más Verde y Tierras Ferroviarias Verdes. Evocaron que gracias a luchas vecinales del pasado se logró la construcción de la lindera Plaza Casal.
Al cierre del encuentro, las cinco mesas entregaron un resumen de lo debatido. En base a estos datos, se elaborará un ante proyecto que será expuesto ante los ciudadanos en otra reunión de diseño que se hará en breve y que será comunicada oportunamente.
Los funcionarios porteños expusieron que el proyecto consta de dos etapas para cubrir los 7.923 metros cuadrados del terreno de Villa Urquiza.
En la primera se parquizarán unos 4.175 metros cuadrados en las Parcelas N° 23 y N° 24, sobre Roosevelt y Triunvirato. Es el sector que ocupan los locales comerciales de Triunvirato -incluida la construcción que alojó a la Asamblea de Villa Urquiza- y buena parte del sector hoy ocupado por las canchas de fútbol.
En tanto, se mencionó que el sector de las parcelas N° 25 y N° 26, en Triunvirato y Bucarelli, donde hubo viviendas que fueron desalojadas, se intervendrá en una segunda etapa.
En 2017 la Legislatura porteña había aprobado mediante la Ley N° 5.911 un convenio entre la Agencia de Administración de Bienes del Estado (AABE) y el GCBA para rezonificar el terreno de 7.923 m2 y permitía la venta de un lote de 2.774 m2 para construir edificios con una superficie construible de hasta 30.000 m2. Según los vecinos que siguen el tema desde el inicio, en base a los planos de mesura oficial, ese lote es la parcela N° 25. El resto de la superficie, el 65% del terreno, quedaba para espacios públicos (superficie verde y veredas). Además,en 2019 se aprobó la Ley N° 6.290 que habilitó al GCBA a subastar la parcela N° 25. En varias ocasiones se puso a remate, pero quedaron desiertos ante la falta de interesados.
“La cuestión de tratarla (la parcela N° 25) dentro de una segunda etapa tiene que ver con enganchar a los vecinos con el tema verde de las primeras 2 parcelas y evitar al mismo tiempo que la gente rechace el emprendimiento inmobiliario desde el inicio”, analizaron fuentes vecinales ante Saavedra Online. “El problema está en que no quieren decir qué tienen pensado para esa segunda etapa, pero tampoco dicen qué está permitido en esas parcelas”, agregaron.
Los funcionarios explicaron que la idea es conservar elementos ferroviarios de valor patrimonial. También se respetarán los senderos peatonales que conectan con la estación Villa Urquiza del tren Mitre. También se resaltó al parque como un espacio vinculado al transporte público, debido a la estación de tren y la cabecera de la Línea B, Juan Manuel de Rosas – Villa Urquiza.
El ejemplo para este proyecto es la construcción del Parque Ferroviario Colegiales, Virrey Olaguer y Feliú, Moldes, Av. Federico Lacroze y las vías del ferrocarril Mitre, como había adelantado Saavedra Online.
En las mesas de este martes, los vecinos hicieron distintas sugerencias. Hubo quienes propusieron que el parque no tenga rejas, a la vez que otros pidieron presencia policial, como por ejemplo las garitas que hay en Parque Saavedra.
También se expresó en varias ocasiones la voluntad de que haya la mayor superficie verde absorbente y vegetación de distinto tipo. Hubo quienes rechazaron la presencia de muchos sectores secos con cemento. “Que uno llegue y sienta la frescura, la diferencia de temperatura en el parque por la presencia de verde”, ejemplificó uno.
Con respecto a la superficie verde absorbente, algunos vecinos evocaron la inundación del 2 de abril de 2013 que afectó Saavedra -hubo vecinos muertos y evacuados- y alrededores y se destacó la necesidad de contar con espacios de este tipo para mitigar desastres naturales.
También se habló de construir senderos peatonales anchos que convivan con bicisendas. Pusieron de ejemplo los caminos exteriores del Parque Saavedra.
Algunos hablaron de montaron un espacio de cultura, aunque se pensó dejarlo para la segunda etapa, hacia el lado de Bucarelli.
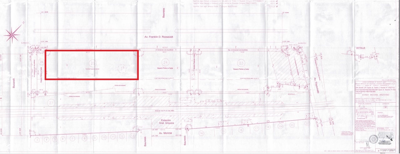
En la reunión cada mesa tenía un mapa con las parcelas del terreno delimitadas. La primera etapa del parque tendrá más de 4.000 metros cuadrados en las parcelas N° 23 y N° 24, las que están en rojo:

La segunda etapa involucra a las parcelas N° 25 y N° 26.
Según lo dispuesto en las Leyes N° 5.911 (2017) y N° 6.290 (2019) la N° 25 puede ser rematada para la construcción de inmuebles. La N° 26 figura como “espacio público a ceder”.

Anexo de la Ley N° 6.290 de 2019 cuyo artículo tercer indica: “Decláranse innecesarios para la gestión del Gobierno de la Ciudad Autónoma de Buenos Aires y autorízase la disposición por parte del Poder Ejecutivo de los inmuebles individualizados en el ANEXO III de la presente”.
En dicho Anexo figura la parcela N° 25 del terreno ferroviario de Villa Urquiza:



